日本産カミキリムシ

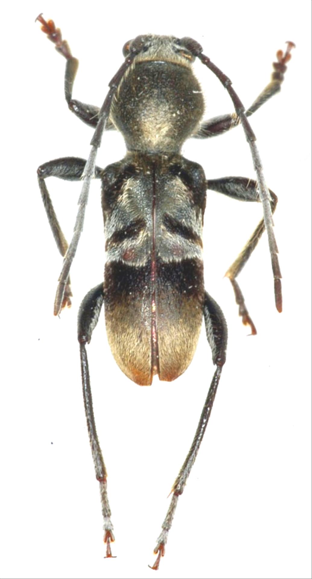
ケブカトラカミキリ
カミキリムシ科
カミキリ亜科


Hirticlytus comosus  (Matsushita, 1941)
Cerambycidae
Cerambycinae
標本データ
性:オス
体長(mm):10
採集日:1984
採集地(国):日本
採集地(都道府県):鹿児島県
採集地(市町村):西之表市
採集地(詳細):種子島
更新日:2017/08/08



戻る