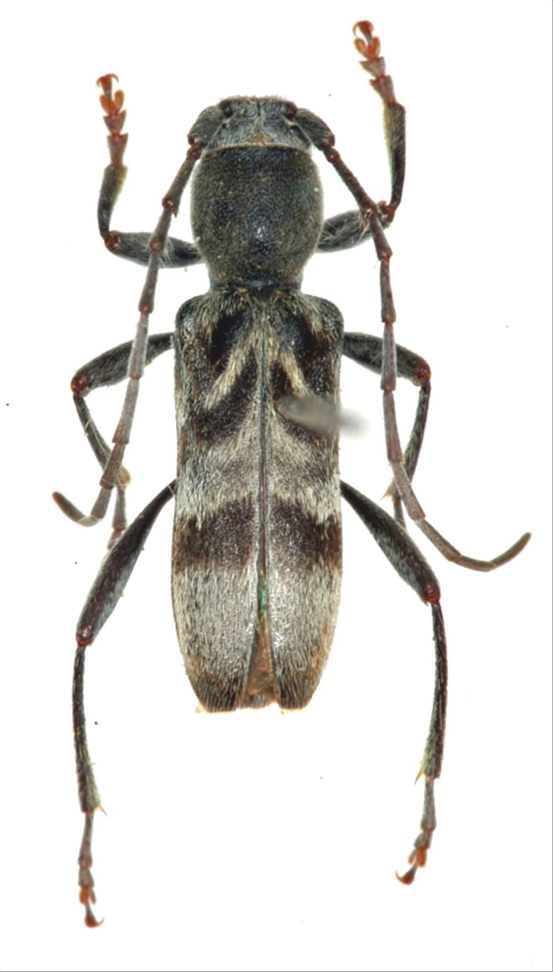
日本産カミキリムシ

エゾトラカミキリ
カミキリムシ科
カミキリ亜科


Oligoenoplus rosti  (Pic, 1911)
Cerambycidae
Cerambycinae
標本データ
性:メス
体長(mm):8
採集日:1948/06/30
採集地(国):日本
採集地(都道府県):北海道
採集地(市町村):帯広市岩内
採集地(詳細):
更新日:2017/08/08



戻る