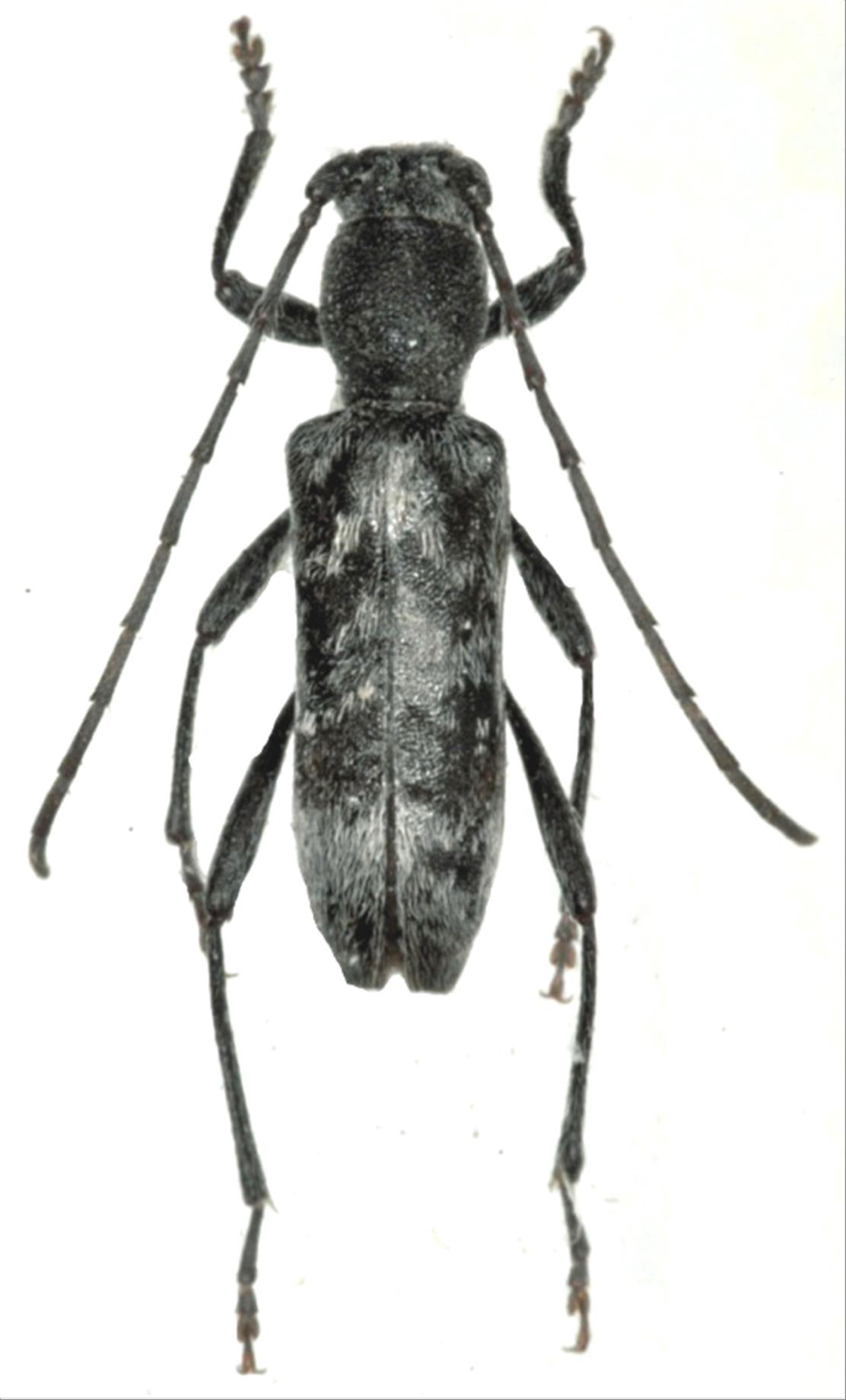
日本産カミキリムシ

エゾトラカミキリ
カミキリムシ科
カミキリ亜科


Oligoenoplus rosti  (Pic, 1911)
Cerambycidae
Cerambycinae
標本データ
性:オス
体長(mm):7
採集日:1984/08/01
採集地(国):日本
採集地(都道府県):北海道
採集地(市町村):七飯町苅間川林道
採集地(詳細):
更新日:2017/08/08



戻る