日本産カミキリムシ

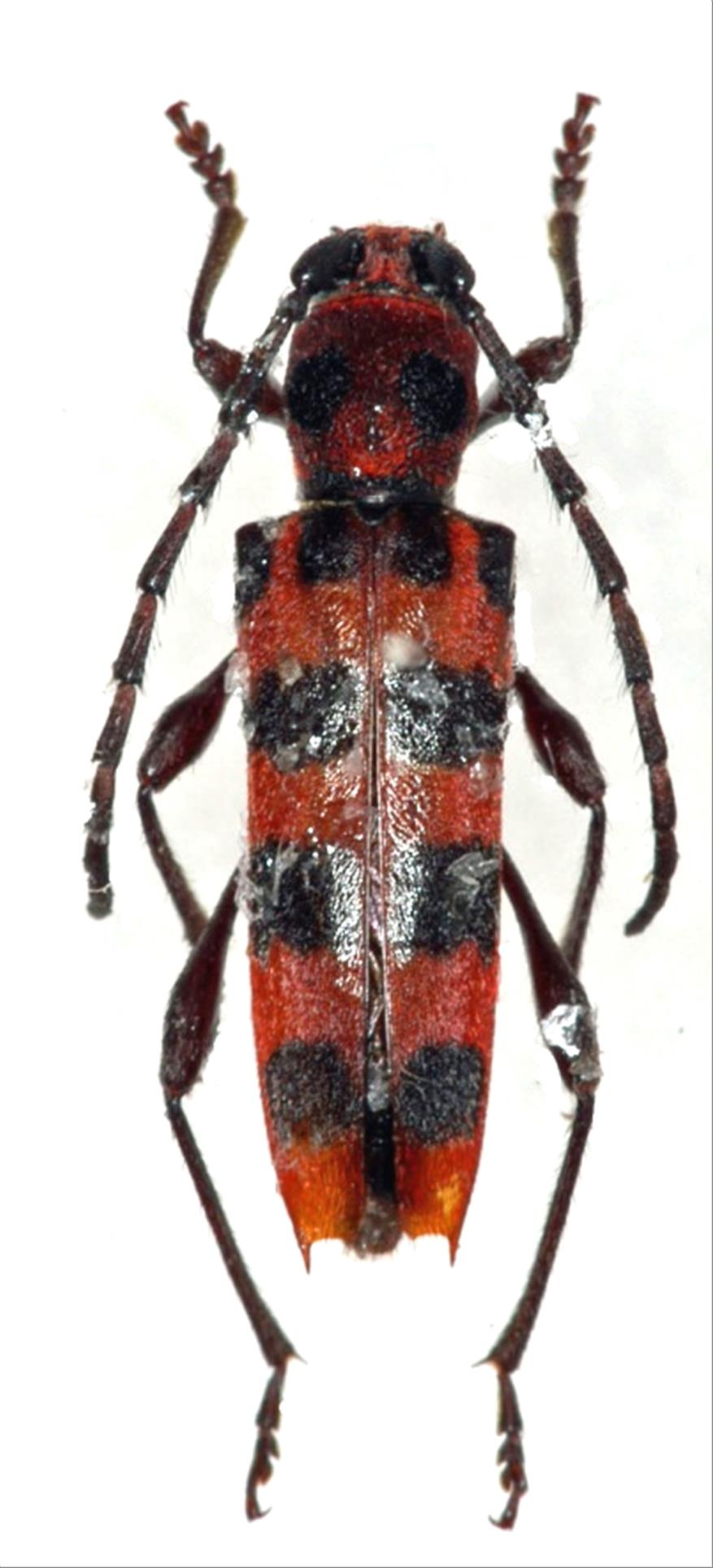
アカジマトラカミキリ
カミキリムシ科
カミキリ亜科


Anaglyptus  bella  (Matsumura et Matsushita, 1933)
Cerambycidae
Cerambycinae
標本データ
性:メス
体長(mm):16
採集日:1973/09/09
採集地(国):日本
採集地(都道府県):岡山県
採集地(市町村):高梁市臥牛山9.Ⅸ.1973. Yamaji
採集地(詳細):
更新日:2017/08/08



戻る