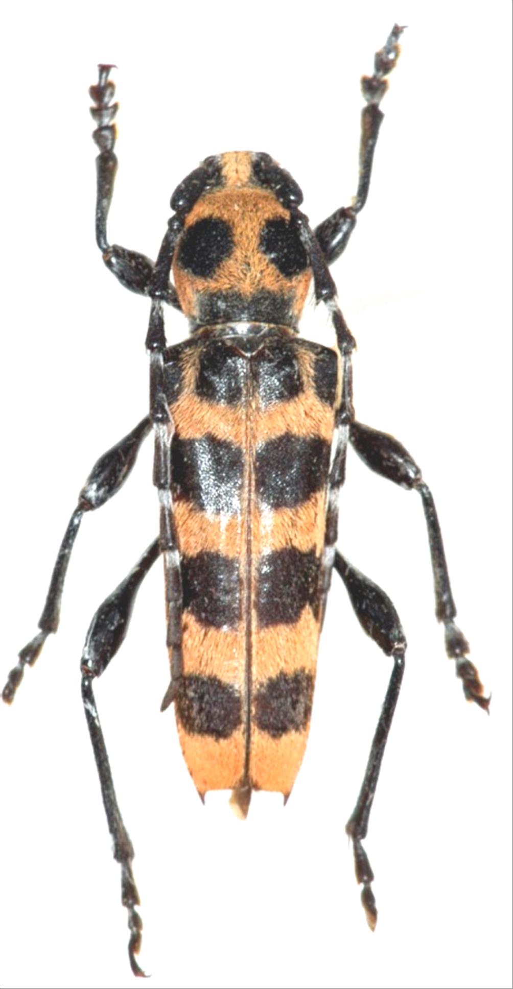
日本産カミキリムシ

アカジマトラカミキリ
カミキリムシ科
カミキリ亜科


Anaglyptus  bella  (Matsumura et Matsushita, 1933)
Cerambycidae
Cerambycinae
標本データ
性:オス
体長(mm):16
採集日:1967/04/10
採集地(国):日本
採集地(都道府県):鳥取県
採集地(市町村):大山町大山
採集地(詳細):
更新日:2017/08/08



戻る