日本産カミキリムシ

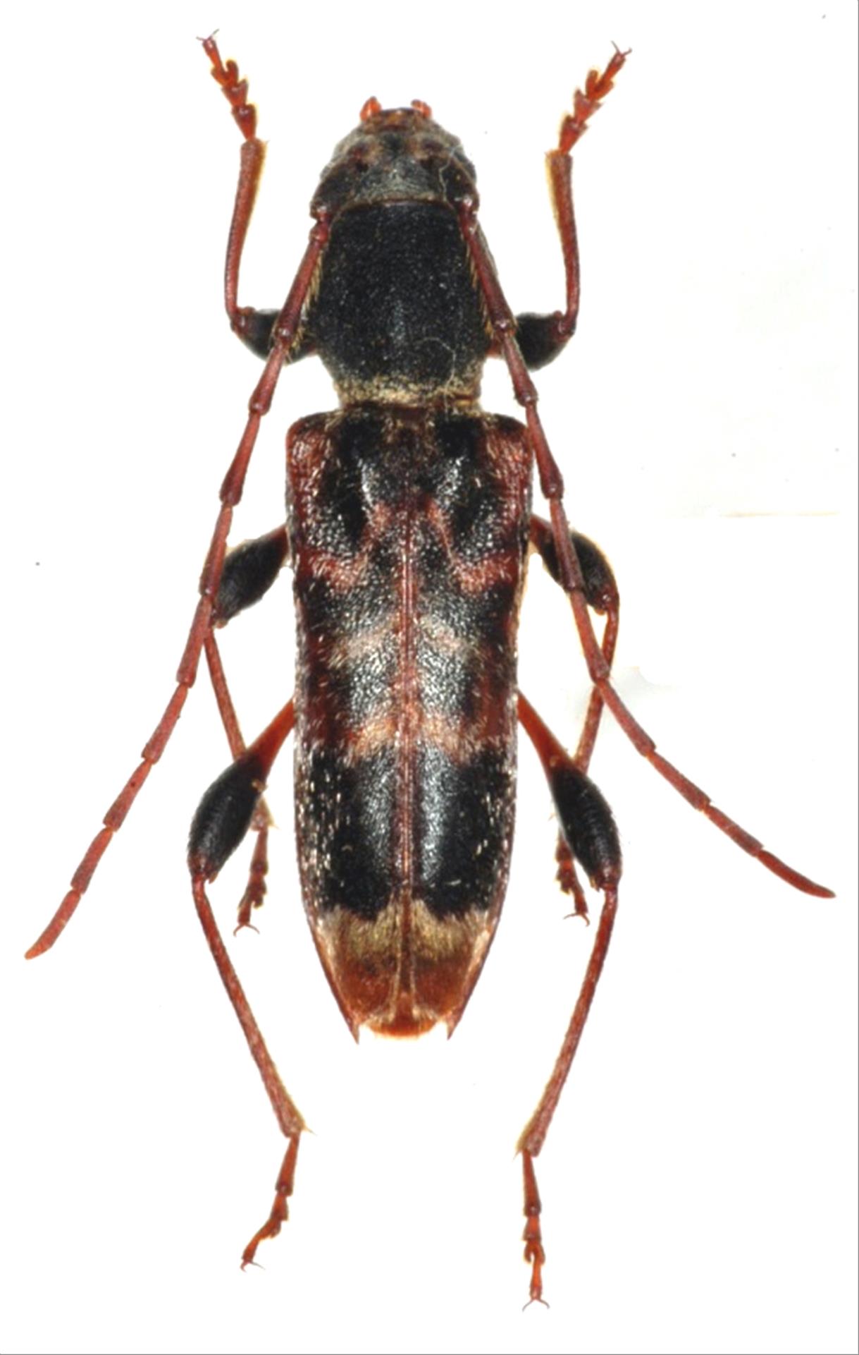
シロヘリトラカミキリ
カミキリムシ科
カミキリ亜科


Anaglyptus  colobotheodes  Bates, 1884
Cerambycidae
Cerambycinae
標本データ
性:オス
体長(mm):12
採集日:1977/06/13
採集地(国):日本
採集地(都道府県):北海道
採集地(市町村):札幌市南区砥山八剣山
採集地(詳細):
更新日:2017/08/08



戻る