日本産カミキリムシ

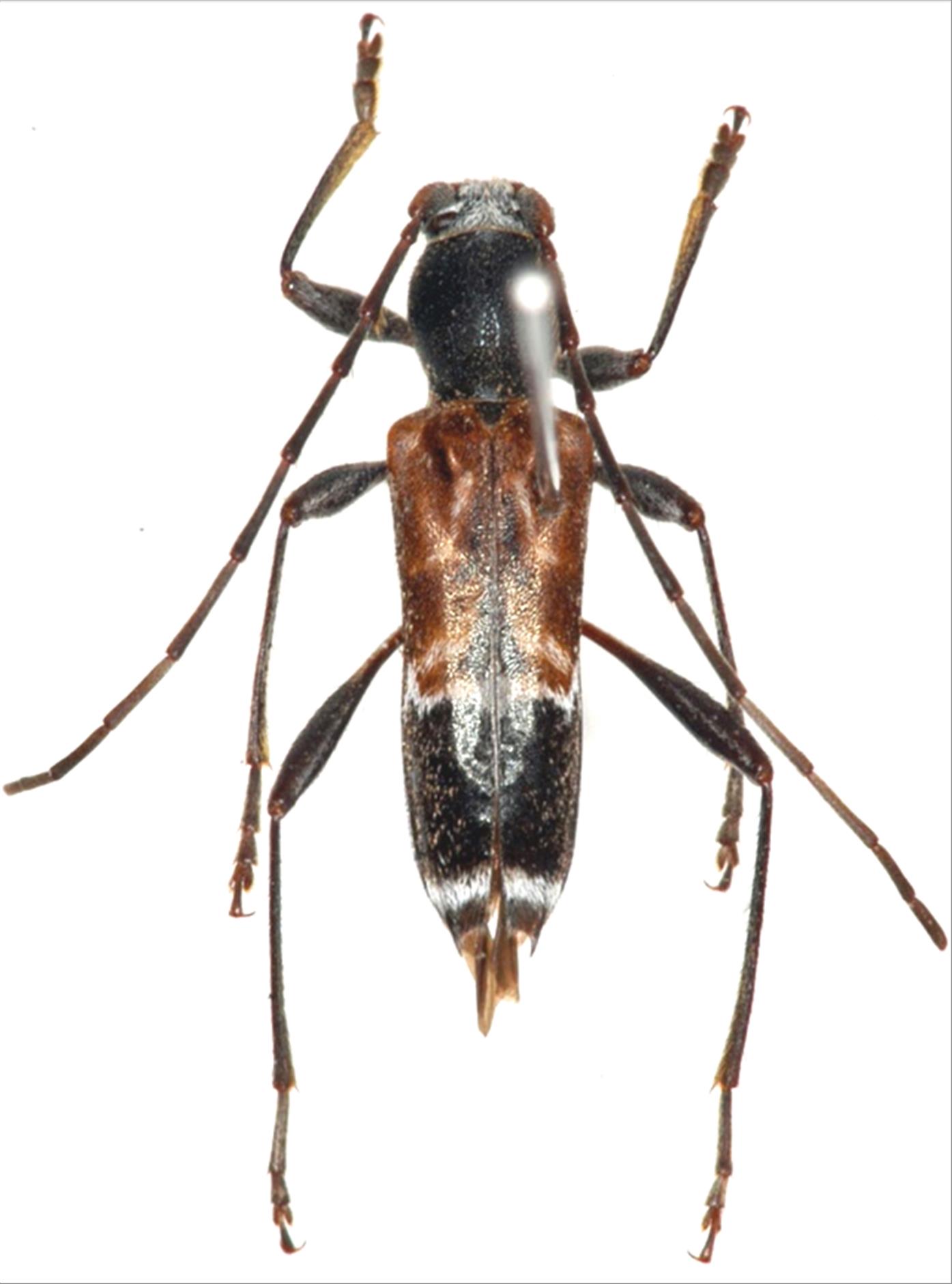
マツシタトラカミキリ
カミキリムシ科
カミキリ亜科


Anaglyptus  matsushitai  Hayashi, 1955
Cerambycidae
Cerambycinae
標本データ
性:オス
体長(mm):13
採集日:2004
採集地(国):日本
採集地(都道府県):福島県
採集地(市町村):西会津町
採集地(詳細):
更新日:2017/08/08



戻る