日本産カミキリムシ

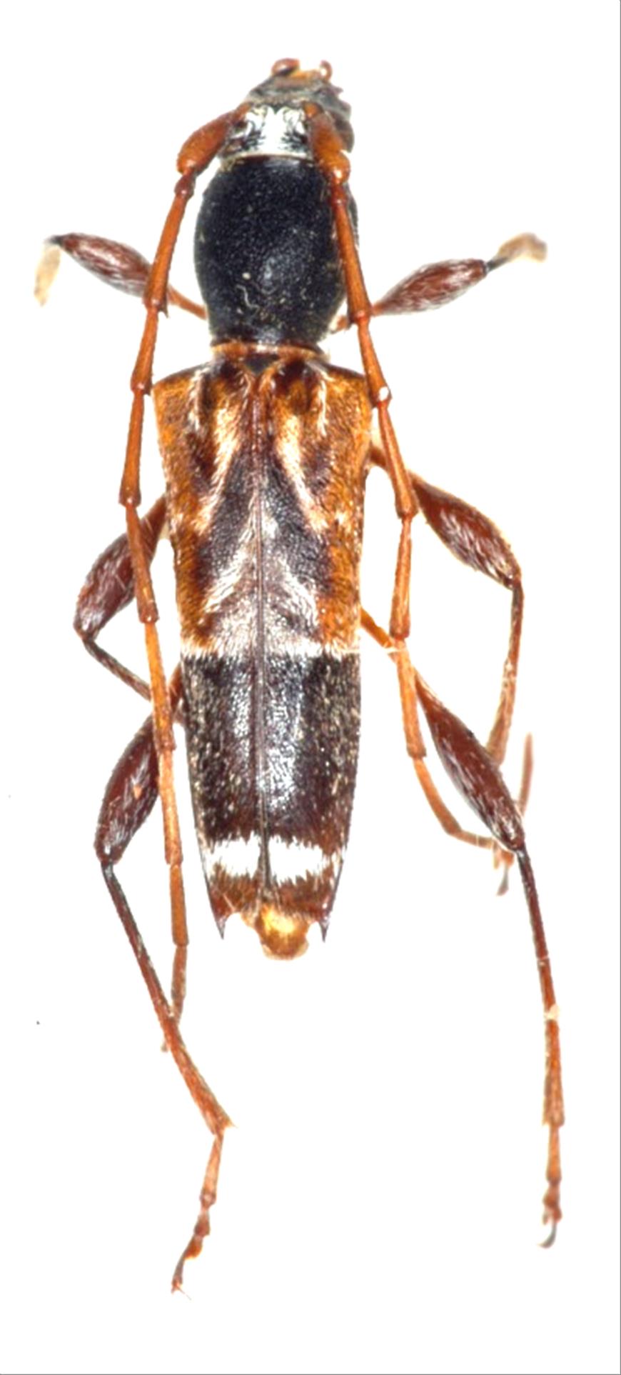
アマミアラカワシロヘリトラカミキリ
カミキリムシ科
カミキリ亜科


Anaglyptus arakawae amamiensis  Fujita, 1980
Cerambycidae
Cerambycinae
標本データ
性:メス
体長(mm):10
採集日:1974/04/19
採集地(国):日本
採集地(都道府県):鹿児島県
採集地(市町村):瀬戸内町八津野
採集地(詳細):奄美大島
更新日:2017/08/08



戻る