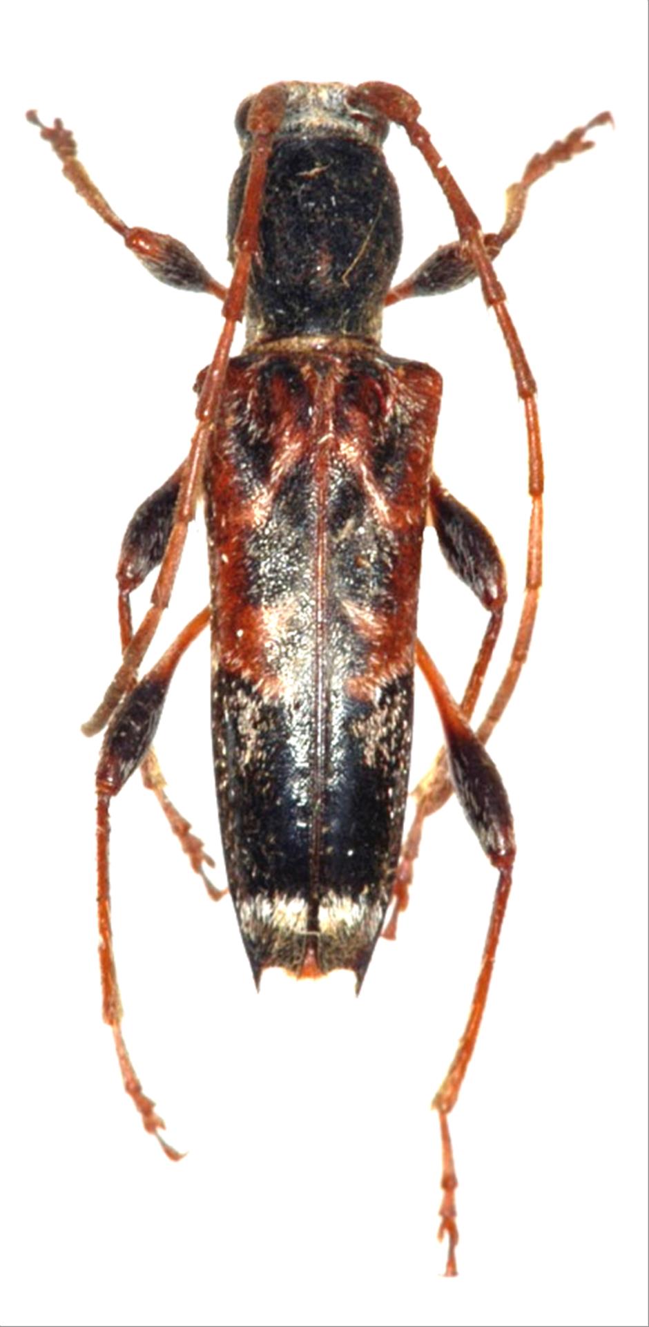
日本産カミキリムシ

クマゲラアラカワシロヘリトラカミキリ
カミキリムシ科
カミキリ亜科


Anaglyptus arakawae kumagensis  Fujita, 1980
Cerambycidae
Cerambycinae
標本データ
性:メス
体長(mm):11
採集日:1969/05/30 〜 1969/06/02
採集地(国):日本
採集地(都道府県):鹿児島県
採集地(市町村):屋久島町安房
採集地(詳細):
更新日:2017/08/08



戻る