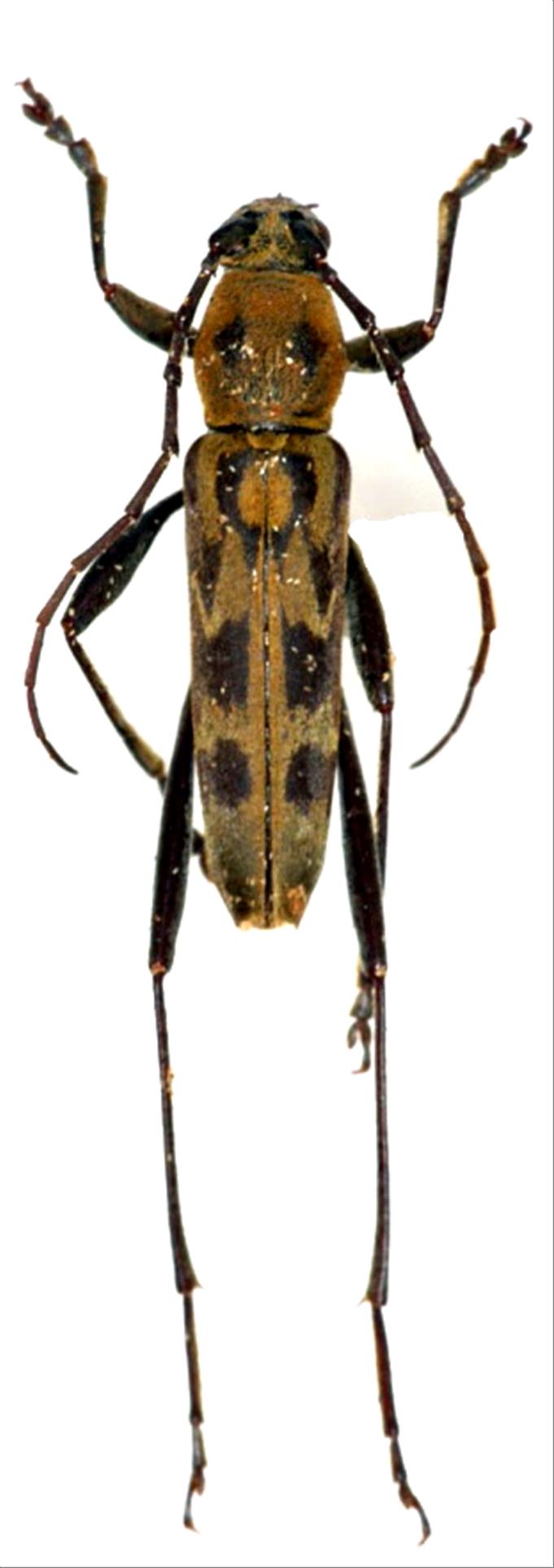
日本産カミキリムシ

キイロトラカミキリ
カミキリムシ科
カミキリ亜科


Grammographus notabillis notabillis  (Pascoe, 1862)
Cerambycidae
Cerambycinae
標本データ
性:オス
体長(mm):16
採集日:1975/06/19
採集地(国):日本
採集地(都道府県):長崎県
採集地(市町村):対馬市峰町大星山
採集地(詳細):
更新日:2017/08/08



戻る