日本産カミキリムシ

カンボウトラカミキリ
カミキリムシ科
カミキリ亜科


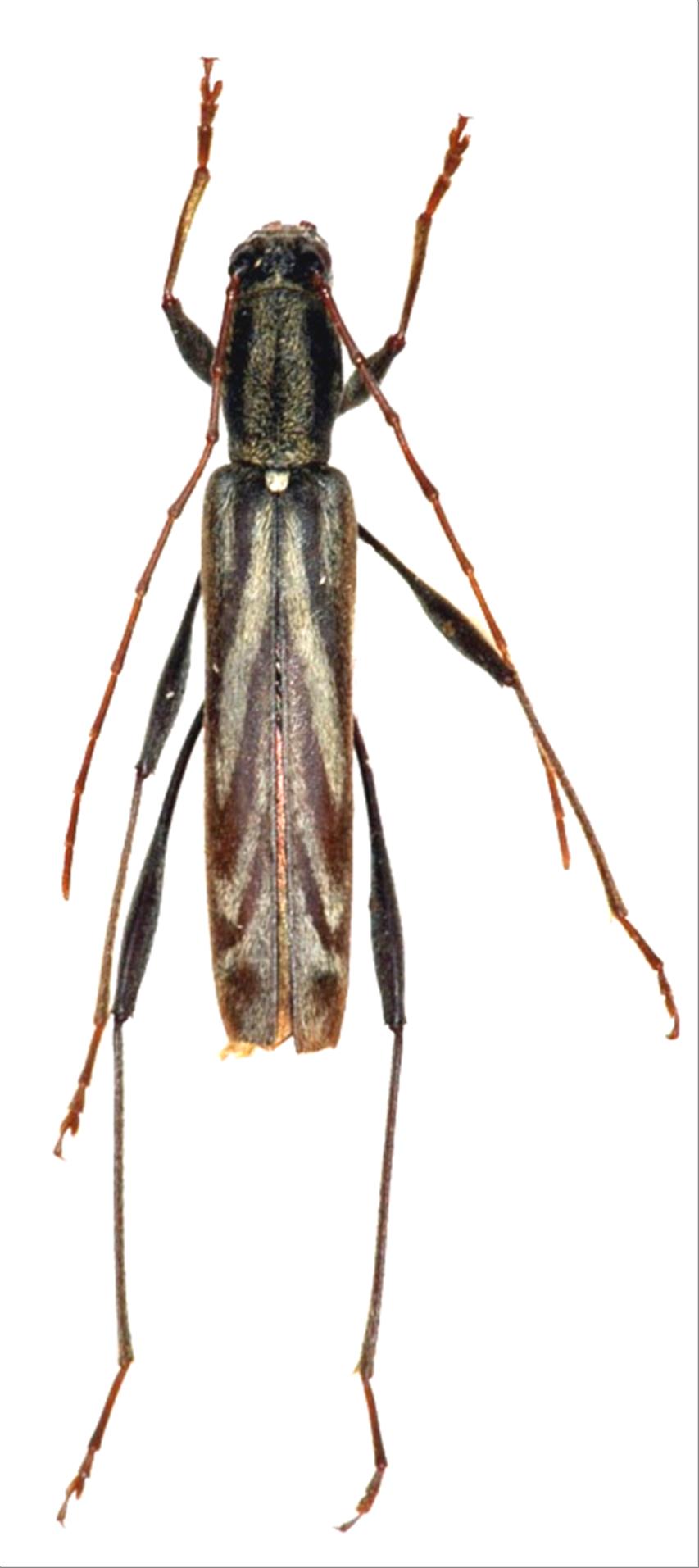
Hayashicltus acutivittis inscriptus  (Bates, 1884)
Cerambycidae
Cerambycinae
標本データ
性:メス
体長(mm):14
採集日:1981/08/03 〜 1981/08/04
採集地(国):日本
採集地(都道府県):福島県
採集地(市町村):檜枝岐村
採集地(詳細):
更新日:2017/08/08



戻る