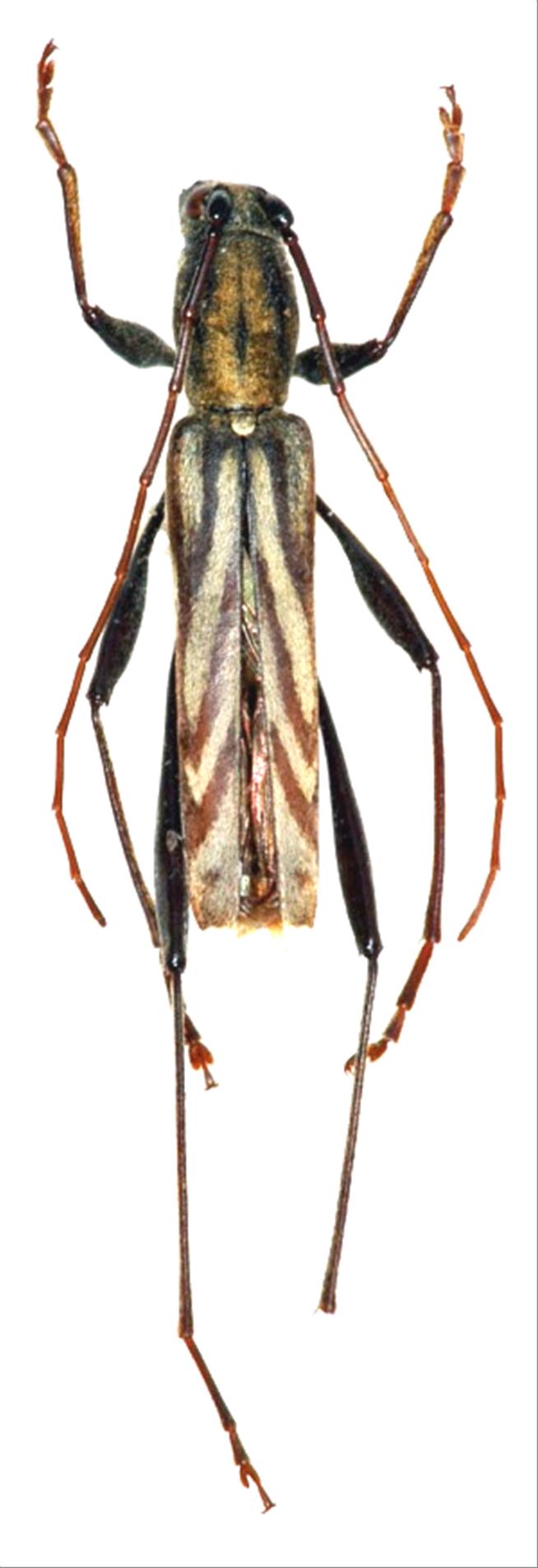
日本産カミキリムシ

カンボウトラカミキリ
カミキリムシ科
カミキリ亜科


Hayashicltus acutivittis inscriptus  (Bates, 1884)
Cerambycidae
Cerambycinae
標本データ
性:オス
体長(mm):16
採集日:1982/08/02 〜 1982/08/05
採集地(国):日本
採集地(都道府県):岩手県
採集地(市町村):遠野市早池峰山
採集地(詳細):
更新日:2017/08/08



戻る