日本産カミキリムシ

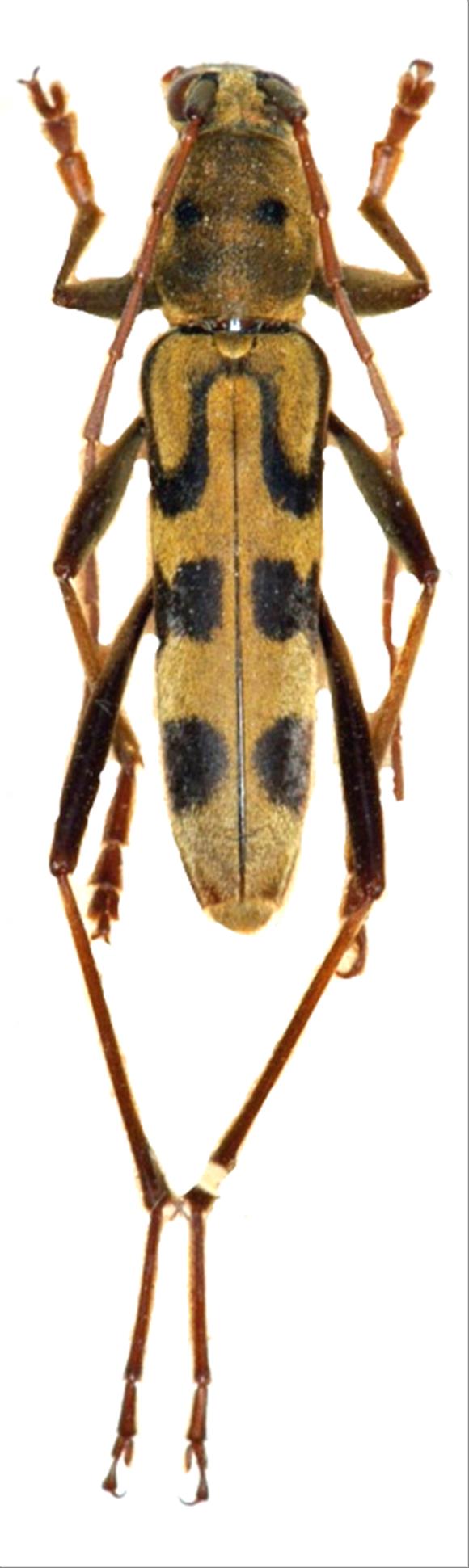
アマミカギモンミドリホソトラカミキリ
カミキリムシ科
カミキリ亜科


Rhaphuma amamiensis  Hayashi, 1983
Cerambycidae
Cerambycinae
標本データ
性:メス
体長(mm):15
採集日:1963/06/13
採集地(国):日本
採集地(都道府県):鹿児島県
採集地(市町村):瀬戸内町八津野
採集地(詳細):奄美大島
更新日:2017/08/08



戻る