日本産カミキリムシ

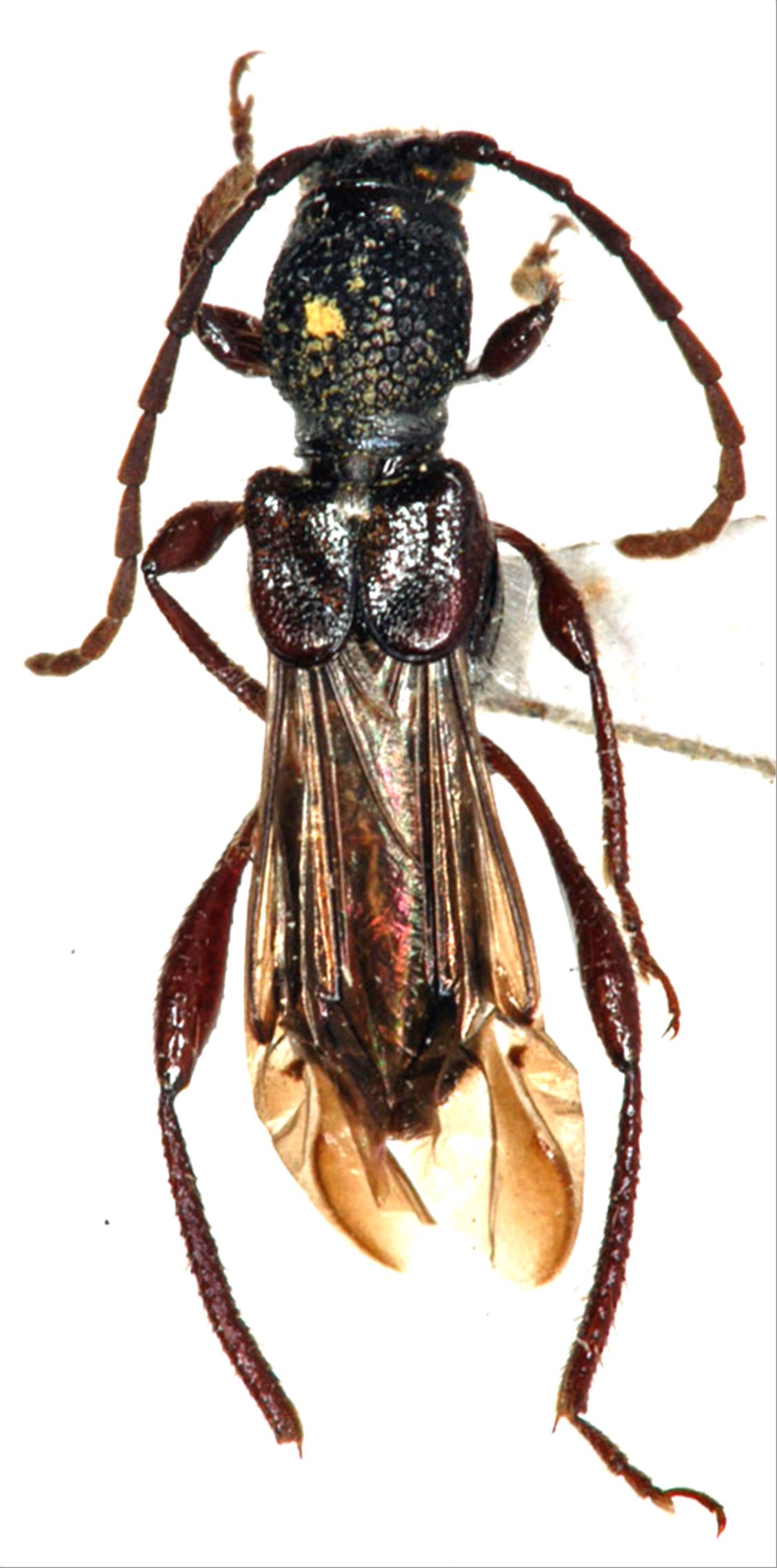
クマタヒメコバネカミキリ
カミキリムシ科
カミキリ亜科


Epania dilaticornis kumatai  Hayashi, 1961
Cerambycidae
Cerambycinae
標本データ
性:メス
体長(mm):7
採集日:1976/05/11
採集地(国):日本
採集地(都道府県):鹿児島県
採集地(市町村):瀬戸内町八津野
採集地(詳細):奄美大島
更新日:2017/08/08



戻る