日本産カミキリムシ

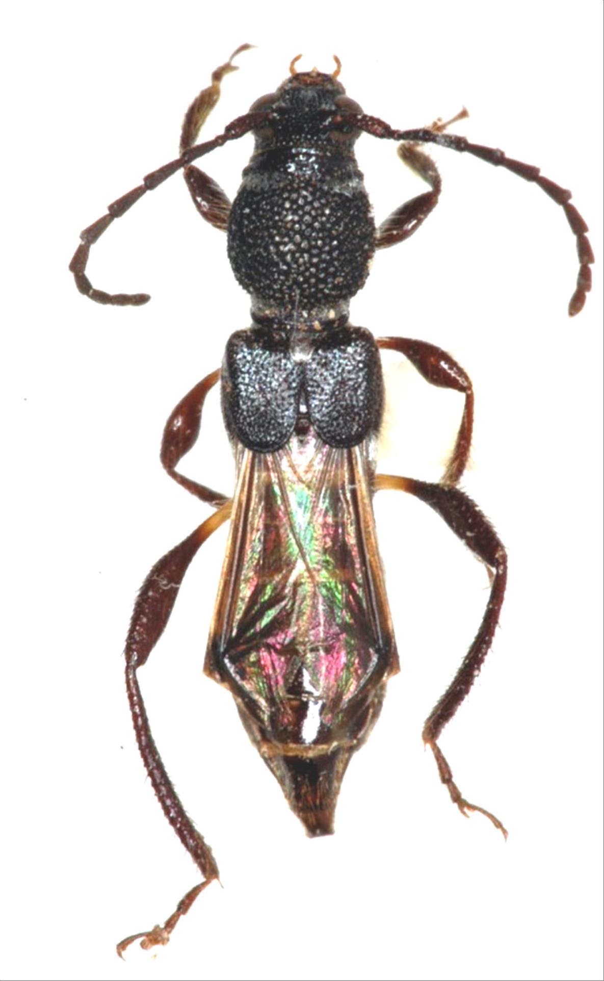
サツマヒメコバネカミキリ
カミキリムシ科
カミキリ亜科


Epania dilaticornis dilaticornis  Hyashi, 1950
Cerambycidae
Cerambycinae
標本データ
性:メス
体長(mm):9
採集日:1978/07 〜 1978/08
採集地(国):日本
採集地(都道府県):鹿児島県
採集地(市町村):屋久島町栗生黒味林道
採集地(詳細):
更新日:2017/08/08



戻る