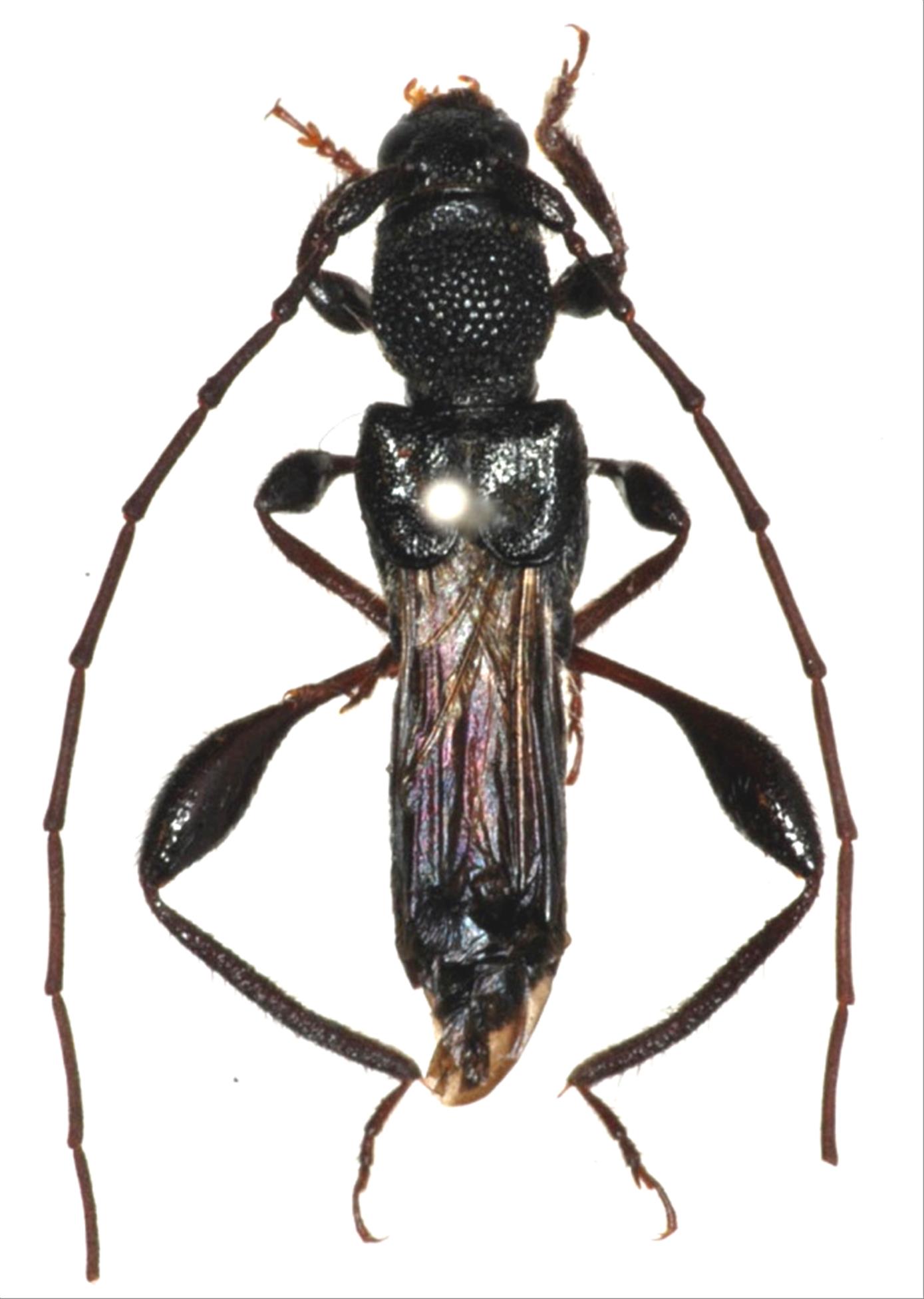
日本産カミキリムシ

クロサワヒメコバネカミキリ
カミキリムシ科
カミキリ亜科


Epania septemtrionalis  Hayashi, 1950
Cerambycidae
Cerambycinae
標本データ
性:オス
体長(mm):12
採集日:2007/05/05
採集地(国):日本
採集地(都道府県):鹿児島県
採集地(市町村):肝付町大隅・大浦
採集地(詳細):
更新日:2017/08/08



戻る