日本産カミキリムシ

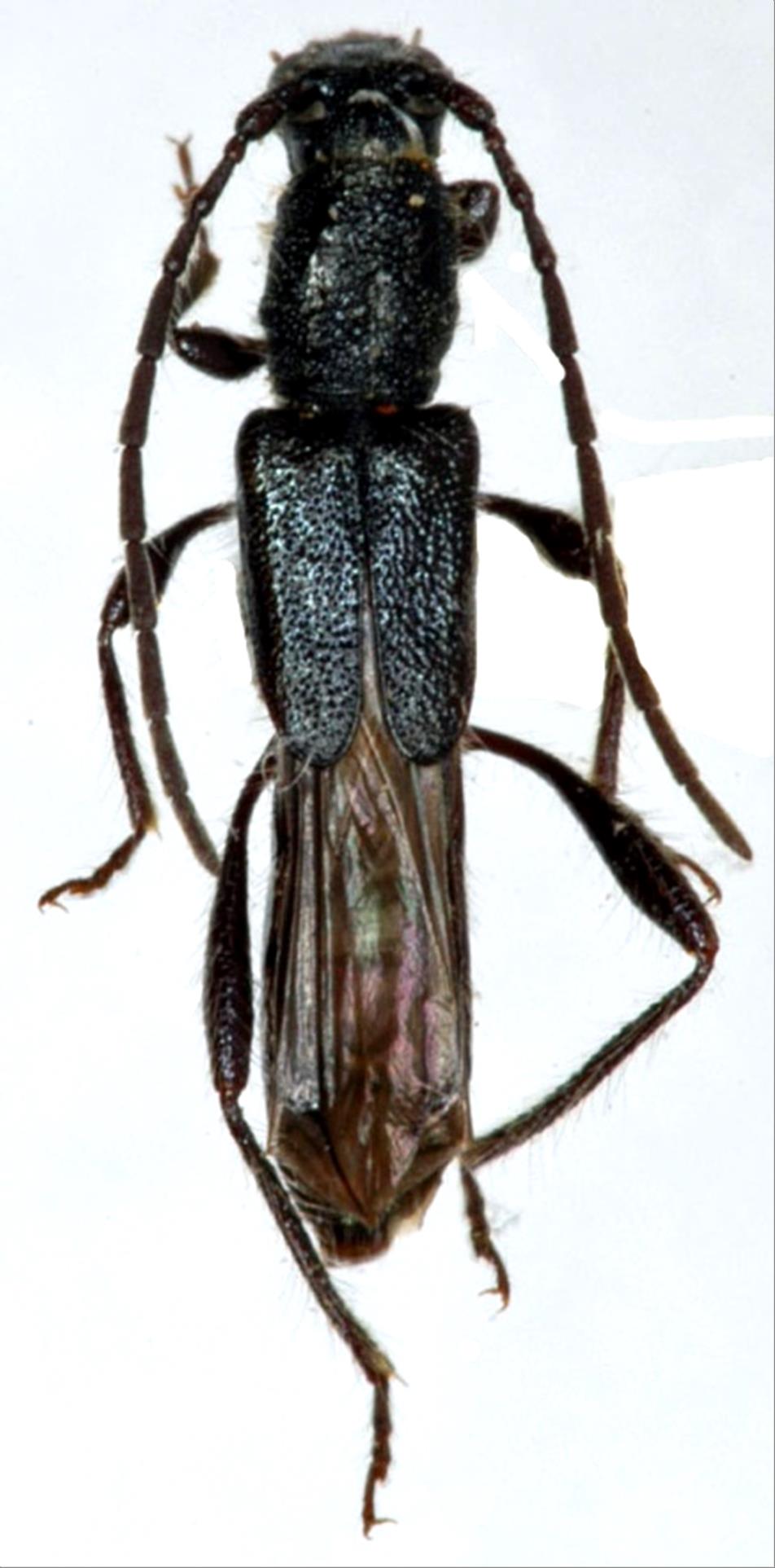
クロツヤヒゲナガコバネカミキリ
カミキリムシ科
カミキリ亜科


Glaphyra hattorii  (K. Ohbayashi, 1954)
Cerambycidae
Cerambycinae
標本データ
性:メス
体長(mm):7
採集日:1983/05/29
採集地(国):日本
採集地(都道府県):福島県
採集地(市町村):南会津町舘岩
採集地(詳細):
更新日:2017/08/08



戻る