Indonesian Longicorn Image Database
Update:2019/03/01
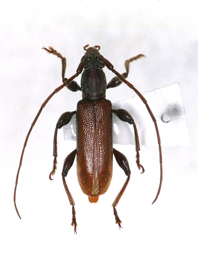
Ceresium vicinum
Holzschuh
♂, 9.9mm ( 30.v.2000)
♀, 12.4mm ( 10.viii.1999)
♂, 10.7mm ( 15-28.iii.2000)
Distribution:
Borneo
Original description:
Ceresium vicinum Holzschuh
Year:
2015
Journal:
Les Cahiers Magellanes, NS, 20: 26, Fig. 9.
Back