Indonesian Longicorn Image Database

Update:2019/03/01
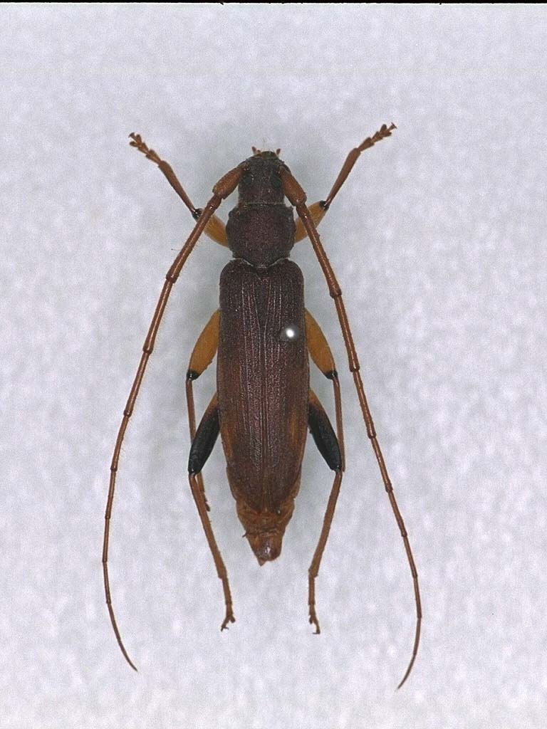
Noserius ovatipennis   Pascoe
♂, 23mm ( 21.iii.2000) ♀23mm (7.ix.1999)  

Distribution: Borneo
Original description: Noserius ovatipennis Pascoe
Year: 1869
Journal: Trans. Entomol. Soc. Lond., (3)III:500