Indonesian Longicorn Image Database
Update:2019/03/01
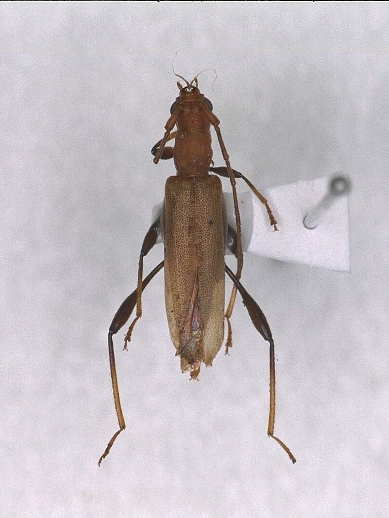
Comusia decolorata
(Pascoe)
♀, 12mm ( 14.ix.2000)
Distribution:
Borneo
Original description:
Ciopera decolorata Pascoe
Year:
1866
Journal:
Proc. Zool. Soc. London, 1866: 511.
Back