Indonesian Longicorn Image Database

Update:2019/03/01
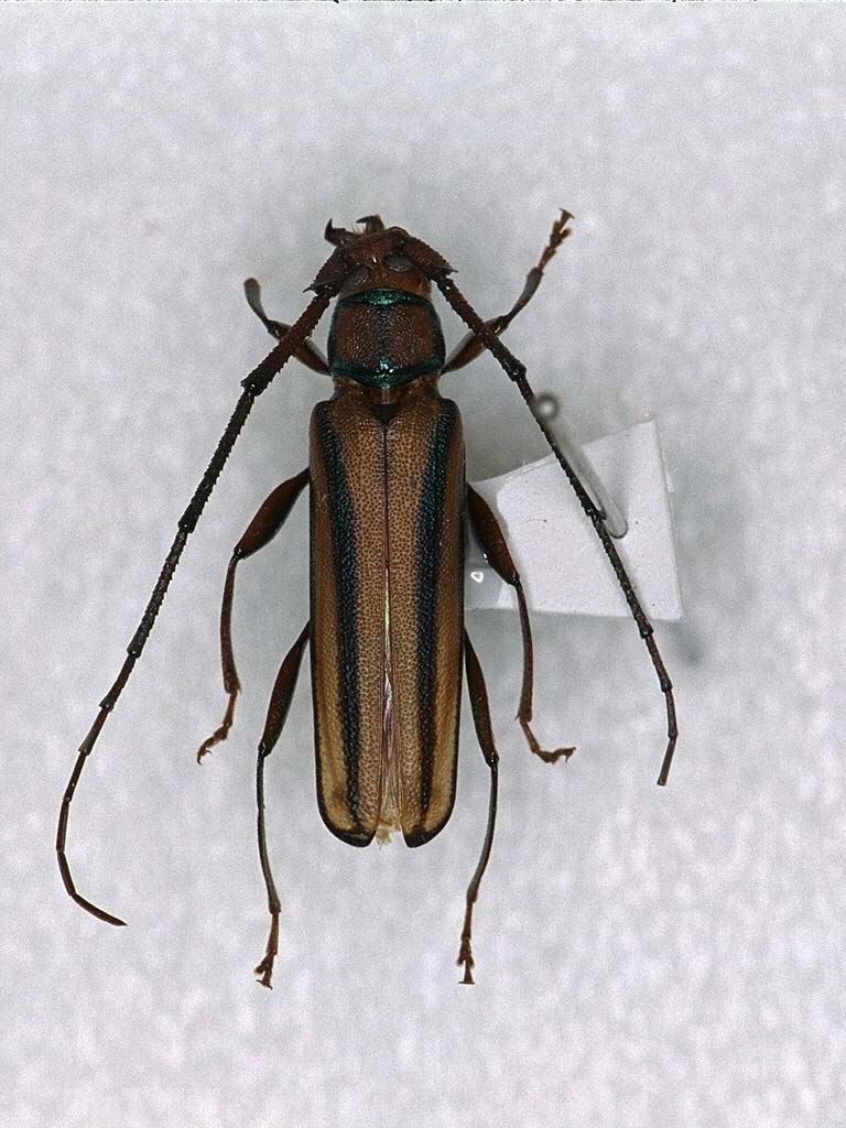
Xystrocera globosa   (Olivier)
♂, 25mm ( 24.xii.1999) ♀20mm (30.xi.1999)  

Distribution: Borneo, Sumatra, Java, Malay Peninsula, Thailand, India, Ceylon, Sulawesi, PNG etc
Original description: Cerambyx globosus Olivier
Year: 1795
Journal: Ent., 4:27