Indonesian Longicorn Image Database
Update:2019/03/01
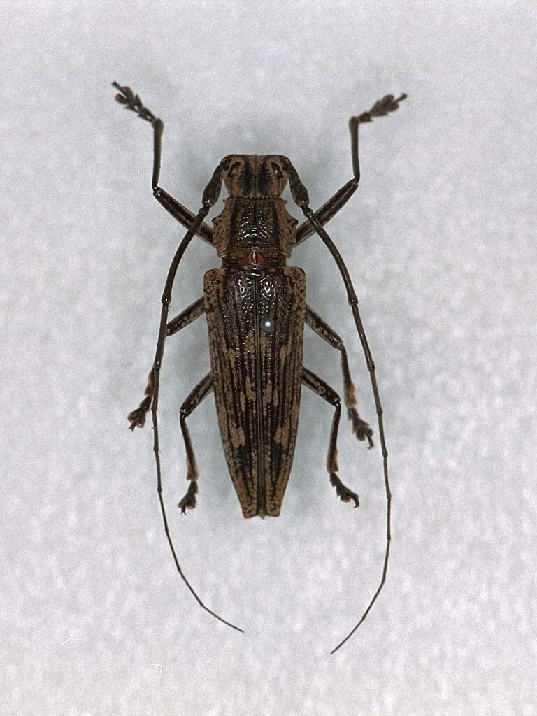
Homonoea uniformis
Jordan
♂, 24mm ( 3.viii.2000 )
Distribution:
Borneo
Original description:
Homonoea uniformis Jordan
Year:
1894
Journal:
Novitates Zoologicae, London, I: 111.
Back