|
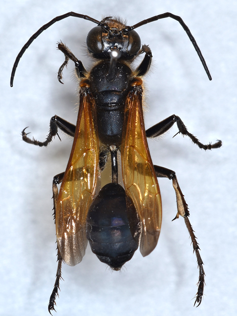
Isodontia maidli
(Yasumatsu, 1938)
|
|
Closely similar to, but different from Isodontia harmandi in that hind femora are black, wings are yellow with light black tips. Like Isodontia harmandi, it hunts tettigoniids and stuffs cells with moss, but only one larva is raised per cell.
|
|
Sphecidae
|
|
Isodontia
|
|
|
Body length :
|
female
|
20 mm
|
male
|
20 mm
|
|
|
Distribution in Japan :
Honshu, Shikoku, Kyushu, Yakushima Island, Amami Oshima Island
|
|
|
|
|
|
|
Dorsal view of female
|
Lateral view of female
|
|
|
|
|
Frontal view of female
|
|
|
|
Dorsal view of male
|
Lateral view of male
|
|
|
|
|
Frontal view of male
|
|